昆虫中的“龙”(上)-百科知识2024年03期
A+
A-
返回
《百科知识》

昆虫中的“龙”(上)

我国古有“伏羲化蚕”、嫘祖“教民养蚕”的传说。在商朝的甲骨卜辞中,已有桑、蚕、丝、帛的象形字,还有祭祀蚕神的记载。据此推测,中国大约从商朝开始人工栽桑养蚕;西周时,中国北方地区的蚕桑生产已初具规模;战国时期,人们已采用蚕丝纺织品制作衣服,并掌握了高超的织造、印染、配色技艺。作为一种经济昆虫,蚕被认为是上天的恩赐,有“天虫”的美称。《管子·水地》中写道:“龙生于水,被五色而游,故神。欲小则化如蚕蠋,欲大则藏于天下。”

昆虫与龙的缘分还存在于很多名中有“龙”的物种里。昆虫属于节肢动物门,是动物界中种类和数量最多的类群—全世界已知昆虫有100多万种,约占地球上已知动物种类的80%。根据最新的分类系统,昆虫纲下属30目,名中有“龙”的昆虫存在于鞘翅目、半翅目、蜚蠊目、直翅目、蜻蜓目、螳螂目、双翅目、膜翅目、 目、鳞翅目这10个目中。农历龙年之际,让我们去名中有“龙”的昆虫世界逛一逛吧。

鞘翅目中的“龙”

鞘翅目昆虫是一类有着坚硬外壳的昆虫,因为前翅鞘质、硬化,很像古代武士所披的甲胄,所以它们又被称为甲虫。坚硬的外壳像铜墙铁壁一样保护着它们免遭侵害,也使得它们的种类得到了极大的发展,从而成为昆虫纲的第一大目。全世界已知鞘翅目昆虫超过35万种,约占整个昆虫纲种类的三分之一。因为奇异的长相和斑斓的色彩,很多种类还成为了颇受欢迎的观赏昆虫。

龙虱

龙虱是龙虱科昆虫的总称,全世界已知有4000余种,我国已知有230余种,包括黑龙虱、日本吸盘龙虱、截跗吸盘龙虱、具缘龙虱、黑翅吸盘龙虱、三点龙虱、东方四节龙虱、黄缘龙虱、夏氏黑龙虱、黄突胸龙虱、黄足突胸龙虱,等等。

龙虱,顾名思义就是龙身上的虱子。龙虱是水生昆虫,雨后闷热的夜晚,它们会钻出水面活动。古人认为龙在下雨的时候会抖动身体,而一些小虫子会被抖出来,它们就是龙身上的虱子。《海错图》中记载:“此物遇风雷霖雨,则堕于田间,故曰龙虱。”

龙虱幼虫

龙虱是海陆空全能型三栖选手,既能在天上飞,又能在水中游,还能在地上走。不过,光滑的体表、流线型的外形、发达而侧扁的后足还是让它最适合在水中生活。龙虱喜欢生活在水草丰盛的池沼、河沟和山涧等处。它们的后足上长着许多弹性刚毛,划水时,刚毛时缩时松,利于快速游动。

龙虱更像一名“潜水员”。有时,我们会在龙虱的尾部发现一个大大的气泡,龙虱将这个气泡携带在鞘翅和腹节之间,这个气泡不仅能贮存空气,还能供氧。原来,在龙虱潜水的过程中,随着氧气的消耗,水中的可溶性氧分子会逐渐进入气泡,龙虱便可利用气泡中的氧气继续呼吸,就像随身携带着一个可持续供养的氧气罐。

LeLFrZqG2inIB/DlAP8yRg==

龙虱是雌雄异型昆虫,雄龙虱前足跗节基部膨大成圆形吸盘,称为抱握足,雌龙虱无抱握足。性成熟期,雄龙虱会追赶雌龙虱,抱握足分泌出黏液以抱住雌龙虱光滑的鞘翅前部两侧,然后爬到雌龙虱体背进行交配。

龙虱是完全变态昆虫,一生经过卵、幼虫、蛹、成虫四个阶段。雌龙虱在水生植物的枝、叶上产卵。幼虫身体细长,头上长着一对像钳子一样巨大的颚,因这对颚很像蜈蚣的毒螫,故幼虫又名水蜈蚣。经过1个多月的发育、蜕皮,幼虫会离开水域到岸边掘洞躲藏,然后蜕去原本褐色的“外套”,变成白色的蛹。这时,它们就不吃不喝了,直到10多天后变为能上天入水的成虫。

龙虱十分贪吃,不仅捕食小虾、小虫和蝌蚪,甚至捕食体形较大的青蛙和小鱼。捕食时,它们往往采取团体作战的方式—一只龙虱先咬伤猎物,其他伙伴在闻到血腥味后便蜂拥而至,对猎物进行围攻,最后共同分享美食。龙虱的幼虫也很贪吃,一只龙虱幼虫一天能吃50多只蝌蚪。幼虫的上颚尖锐且弯曲,内有孔道,当幼虫用颚扎住猎物后,会吐出一种特殊的有毒液体,液体经由孔道进入猎物体内后,猎物会被麻痹;接着,幼虫又向猎物体内注入另一种具有消化力的液体以溶解猎物。龙虱幼虫的咽喉像唧筒一样工作着,把被溶解的营养物质吸进体内,这种消化方式被称为体外消化。

虽然龙虱是渔业害虫,但它也是药食两用的昆虫。龙虱干燥成虫可入药,药名龙虱、水龟子、水鳖虫,有补肾、缩尿、活血等功效,对小儿疳积、老年人夜尿频多及肾气亏损等症有较好疗效。龙虱不仅蛋白质含量高、脂肪含量低,还含多种人体必需的微量元素。它肉质鲜美、营养丰富,可炸、煎、烤,也可做成补酒,有补肾健脾之功效。早在明代,龙虱就已经走上了福建人的餐桌。

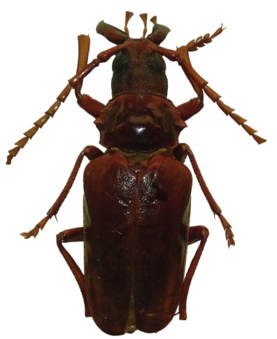
龙虼蚤

龙虼蚤,顾名思义就是龙身上的跳蚤,是我国山西省部分地区对某种甲虫的俗称。不过,龙虼蚤并不是跳蚤,它的学名叫大牙土天牛,是天牛科土天牛属昆虫。中大型,体宽阔;体色为棕栗色或黑褐色,略带金属光泽;触角、足、后胸腹板、下颚须和下唇须为红棕色。雌雄成虫的外形有着明显差异:雄虫头部近长方形,雌虫头部近正方形;雄虫体长较长,雌虫较短,约为雄虫的一半;雄虫的大牙是争夺配偶时进行格斗的武器,触角长达鞘翅中央,雌虫的触角仅达鞘翅基部。

龙虼蚤3年发生一代。成虫一般在7月上旬至9月上旬出土,出土盛期为7月下旬至8月下旬。刚羽化的成虫身体比较柔软,要在蛹室中待几天,直到雨后泥土变得松软时才会钻出地面。出土后,雌虫贴着地面爬行,雄虫在草叶上疾走,偶尔也作短距离飞翔。虽然外面的世界比地下精彩,但它们无心欣赏美景,也没有时间寻找食物,因为它们最多只能存活5~7天,所以首要任务就是找到配偶,繁殖下一代。完成交配后,雌虫会在土壤中产下受精卵。卵孵化后,幼虫会在地下度过漫长的3年。幼虫大多栖息在与地面垂直的隧道之中,喜欢吃玉米、高粱、榆树、杨树、柳树等植物的根,属于农业害虫。

大牙土天牛

九龙虫

九龙虫又名洋虫,属于鞘翅目拟步甲科。成虫体形长而椭圆,体色为棕黑色,有光泽,上唇、触角、足及腹面为红棕色;头部密生刻点,触角11节,念珠状;每个鞘翅上有8条由基部伸至端部的平行刻点纵线,纵线间有多个小刻点;足侧扁,腿节基部腹面有一撮茸毛,胫节和附节腹面也着生黄色毛。九龙虫的成虫和幼虫都喜温暖潮湿的环境,在10℃以下的低温时几乎不活动、不进食。成虫一生可多次交尾,寿命约4个月。

九龙虫虽然是一种仓储害虫,但也是一种重要的资源昆虫,具有很高的药用、食用和饲用价值。《本草纲目拾遗》中对其药用价值有如下记载:“行血分,暖脾胃,和五脏,健筋骨,去湿搜风,壮阳道,治怯弱。有活血化瘀、温中理气之功效。” 九龙虫以干燥成虫整虫入药。近年来的研究发现,其所含有的某些活性组分在活血、降血脂、防癌以及提高机体免疫力等方面均有明显功效。九龙虫是一种高蛋白、低脂肪、氨基酸含量较全且富含矿物质和微量元素的昆虫,所以在我国江苏、浙江、福建、广东一带,人们一直将其作为滋补药材来使用。同时,九龙虫也是一种优良的饲料,常作为甲鱼、牛蛙、蝎子、海龟等的饵料。

九龙虫

鞘翅目中还有许多名中有“龙”的种类,如巨龙扁锹甲、黑龙江婆鳃金龟、龙胜侧爪脊甲、龙骨长角象等。龙甲是拟步甲科龙甲属昆虫的总称,属于夜行性昆虫,一般身体短小,体色为黑色,因此也叫黑色甲虫、暗色地甲虫。我国主要有中华龙甲、谢氏龙甲、沟胸龙甲、莱氏龙甲、短脊龙甲等。名中有“龙”的瓢虫有体形较小、体背多毛的龙门小毛瓢虫以及龙斑d508c53a4875ca0a9857d6df454e0aabcb19a3f4a39a5e000582818b3a335f76巧瓢虫等,它们能捕食多种蚜虫和虫卵,是农林害虫的主要天敌之一。天牛科中名中有“龙”的有龙州全天牛、龙州缨额天牛等。

鳞翅目中的“龙”

鳞翅目昆虫以其翅面上布满鳞片而得名,通称蝶和蛾,是昆虫纲中仅次于鞘翅目的第二大目。全世界已知鳞翅目昆虫约有20万种,中国约有8000种。论数量,蝶类种类其实只有蛾类种类的十分之一,只不过蝶类大多色彩斑斓,喜欢在白天活动,而蛾类大多体色灰暗,常在夜间活动,所以很多人误以为蝶类的种类更多。

名中有“龙”的蛾类有龙潭污灯蛾、龙眼裳卷蛾、龙眼蚁舟蛾、黑龙江松天蛾、山龙眼蛾等。龙潭污灯蛾属于灯蛾科,在我国主要分布于江苏、浙江、福建、安徽、湖北、湖南、四川、广西等地。龙眼裳卷蛾属于卷蛾科,在我国主要分布于华东、西南地区,幼虫常寄生于树木中,主要为害龙眼、荔枝等。龙眼蚁舟蛾属于舟蛾科,在我国主要分布于海南、广西、广东、台湾等地,是一种食叶害虫,为害龙眼、荔枝及多种南方果树和一些林木。黑龙江松天蛾属于天蛾科,在我国主要分布于东北地区,寄主以樟子松、红松、云杉、冷杉、油松、落叶松等针叶树为主。山龙眼蛾因寄主为山龙眼(山龙眼属乔木植物)而得名。

凤蝶科、蛱蝶科、眼蝶科、弄蝶科中也有一些名中有“龙”的种类,比如玉龙尾凤蝶、龙女宝蛱蝶、龙宫肿脉弄蝶、龙女锯眼蝶等。

玉龙尾凤蝶

玉龙尾凤蝶属于凤蝶科尾凤蝶属。凤蝶科昆虫为中型至大型蝶类,体色多艳丽,具有很高的观赏价值。尾凤蝶属以多尾突为主要特点,是高山珍稀种类,主要分布于中国、印度和不丹。该属昆虫均被列入《濒危野生动植物种国际贸易公约》限制贸易名单,同时被《濒危物种红色名录》列为II级保护物种。

玉龙尾凤蝶是世界上非常珍稀的蝶类昆虫之一,仅分布在云南省和四川省海拔两三千米的山区河谷、沟渠周边,是我国特有物种,因其野外生存数量稀少,被列入《国家重点保护野生动物名录》II级保护动物。

玉龙尾凤蝶身体黑色,腹面有白色绒毛。翅展75~8l厘米,前翅黑色,有8条黄白色横带。第2条斜带近后缘向外弯曲,与第4条相接触;第6条前半段明显分叉。后翅黄白色,带纹与红斑很宽且特别鲜艳。所有带纹在中室端部互相交错成网纹状;红斑后有3个蓝白色斑,外缘斑橘黄色;3条黑色尾突明显。成虫喜食蜂蜜,常在山谷中缓慢飞行,午时常在水边饮水。幼虫有5个龄期,马兜铃是其唯一的寄主植物。近年来,因为受全球气候变暖的影响,马兜铃生长缓慢,野外分布不多,且人为采挖严重,所以玉龙尾凤蝶的栖息地越来越少,生存状态不容乐观。

龙女宝蛱蝶

龙女宝蛱蝶属于蛱蝶科宝蛱蝶属。蛱蝶科的种类是蝶类中最多的,属于中型或大型蝶类,少数种类个体较小。翅的色彩丰富多样,翅型和色斑变化较大;前足退化,收缩于胸下;喜在日光下活动,飞行迅速,行动敏捷;成虫有时会吸食动物的排泄物、树液等。

龙女宝蛱蝶的翅为黄褐色,翅基部黑色,缘区有3列平行的斑点,翅反面外缘脉间有纵银纹。前翅亚外缘斑列明显分成两段:上段3、4个斑近乎垂直分布,大小均匀;下段3个斑内移,末端1个斑又外移变小。龙女宝蛱蝶属于高山蝶类,国内分布于新疆、四川;国外分布于欧洲西部和中亚地区。

龙女宝蛱蝶的学名是Boloria pales,“Pales”指的是罗马神话中掌管牲畜和牧场的女神,中国昆虫学家在发现这种蝴蝶并为其命名时,将其译为中国神话中龙王的女儿—“龙女”。

龙宫肿脉弄蝶

龙宫肿脉弄蝶属于弄蝶科肿脉弄蝶属。弄蝶科昆虫属于小型蝶类,少数为中型。身体粗壮,体表密生细毛;头部较大,复眼的前方有长睫毛,触角端部呈尖钩状;前翅呈窄长三角形,后翅多呈三角形;翅色多为深暗色、黑色、棕色或褐色,少数为白色或黄色;前足发达,飞行迅速而呈跳跃性。弄蝶科昆虫多在早晚活动,喜穿梭于花丛中,除吸食花蜜外,也常吸食动物排泄物或在湿地上吸水。

雄性肿脉弄蝶的前翅正面为紫红色,色彩强烈;后翅反面呈赭黄色或锈红色,有淡紫色后中斑和中室斑;雌蝶体色淡。它主要分布于我国海南、泰国、马来西亚及印度尼西亚的苏门答腊岛和婆罗洲等处。

龙宫肿脉弄蝶的种名“Ogygioides”源自“Ogygia”,在希腊神话中,它指的是海岛女海神的家乡,中国昆虫学家将其译为“龙宫”。龙宫肿脉弄蝶是一种非常神秘的蝴蝶,鲜有人见过,在《中国物种红色名录》(2004)中,它被评估为近危物种。

龙女锯眼蝶

龙女锯眼蝶

龙女锯眼蝶属于眼蝶科锯眼蝶属。眼蝶科多属小型至中型的蝶类,多活动于高山地区,世界各地均有分布,在我国主要见于云南、湖北等地。雄性龙女锯眼蝶的翅面呈浅绿灰色,翅脉宽,翅面散布着蓝灰色鳞片,两翅外缘呈齿状,后翅前缘基部有横卧毛丛。雌性龙女锯眼蝶前翅端半部脉间呈淡紫蓝色,基半部呈锈褐色,亚端黑色条纹连续。

龙女锯眼蝶的学名是Elymnias nesaea,“nesaea”指的是希腊神话中的海礁女神,和龙女宝蛱蝶一样,中国昆虫学家在为其命名时,也将“龙女”的头衔给了它。

【责任编辑】谌 燕

期刊目录